News post

Road Closure Notice: Artesia Blvd

November 7, 2025

Artesia Residents:

Beginning Monday morning, November 10, through Monday, November 17, alternating lanes of Artesia Boulevard will be closed between White Rock Boulevard and Benbrook Boulevard for construction.

We encourage you to plan on traffic control changes throughout the week. Please be extra cautious when driving in this area.

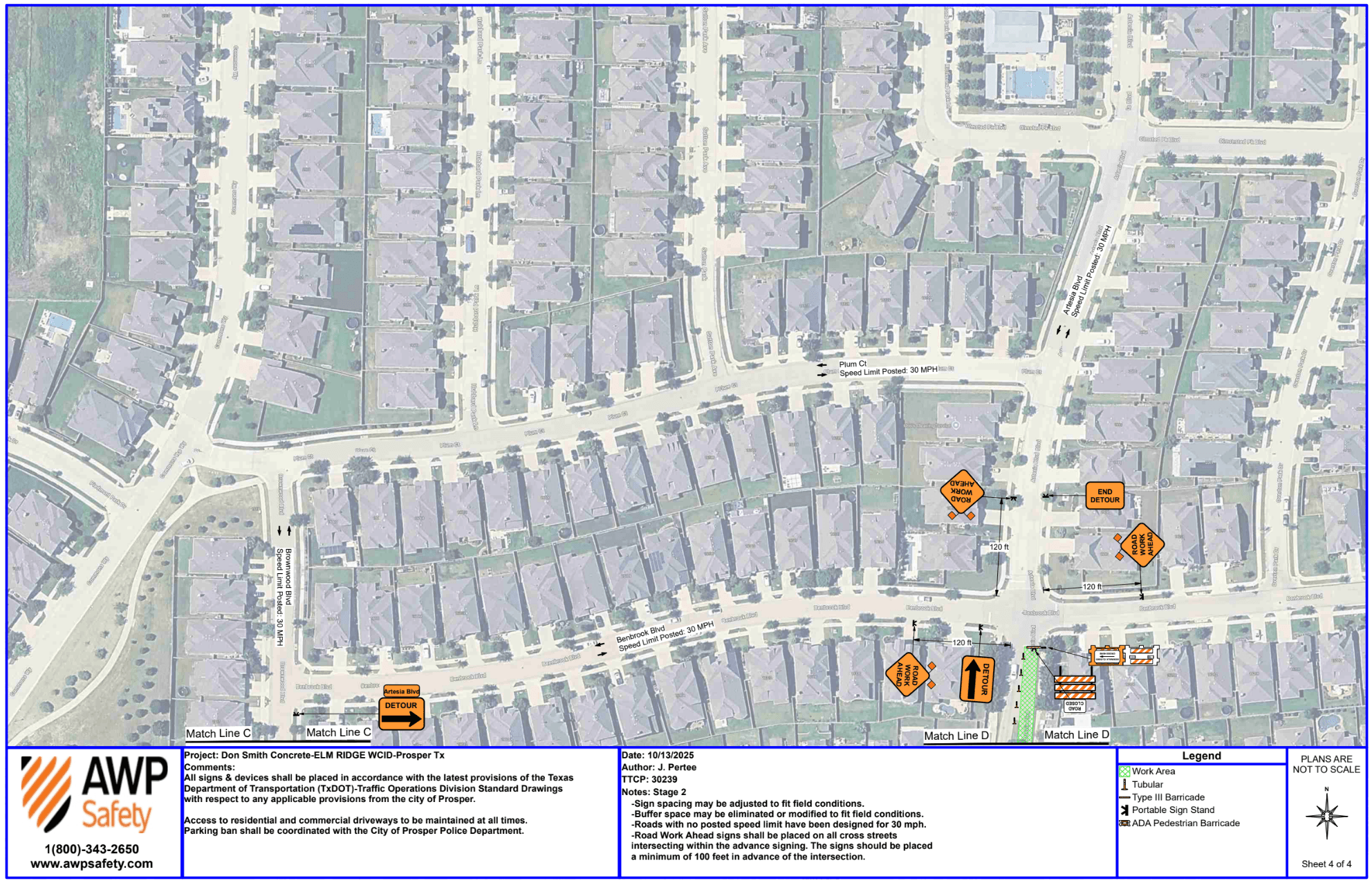
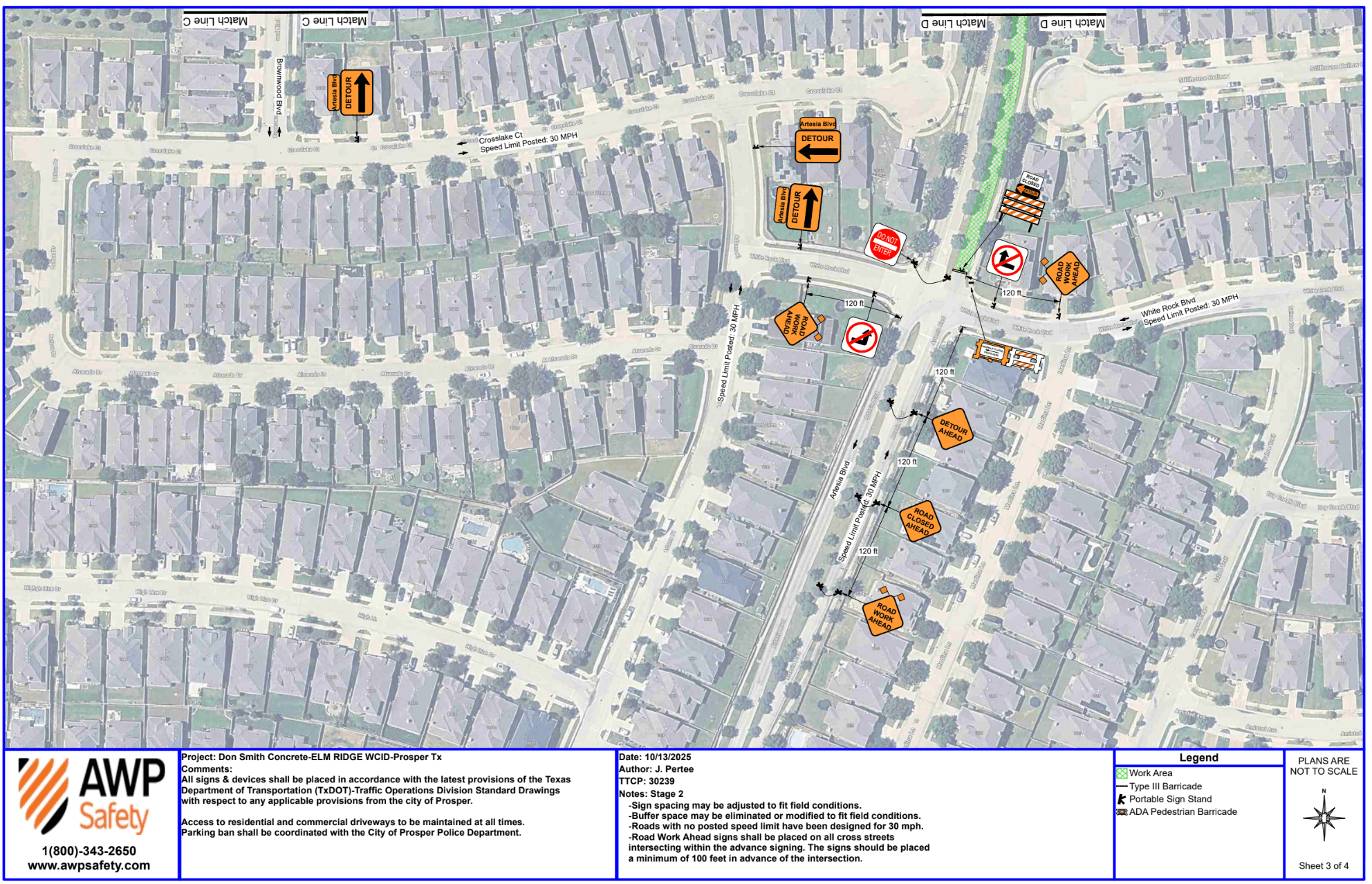
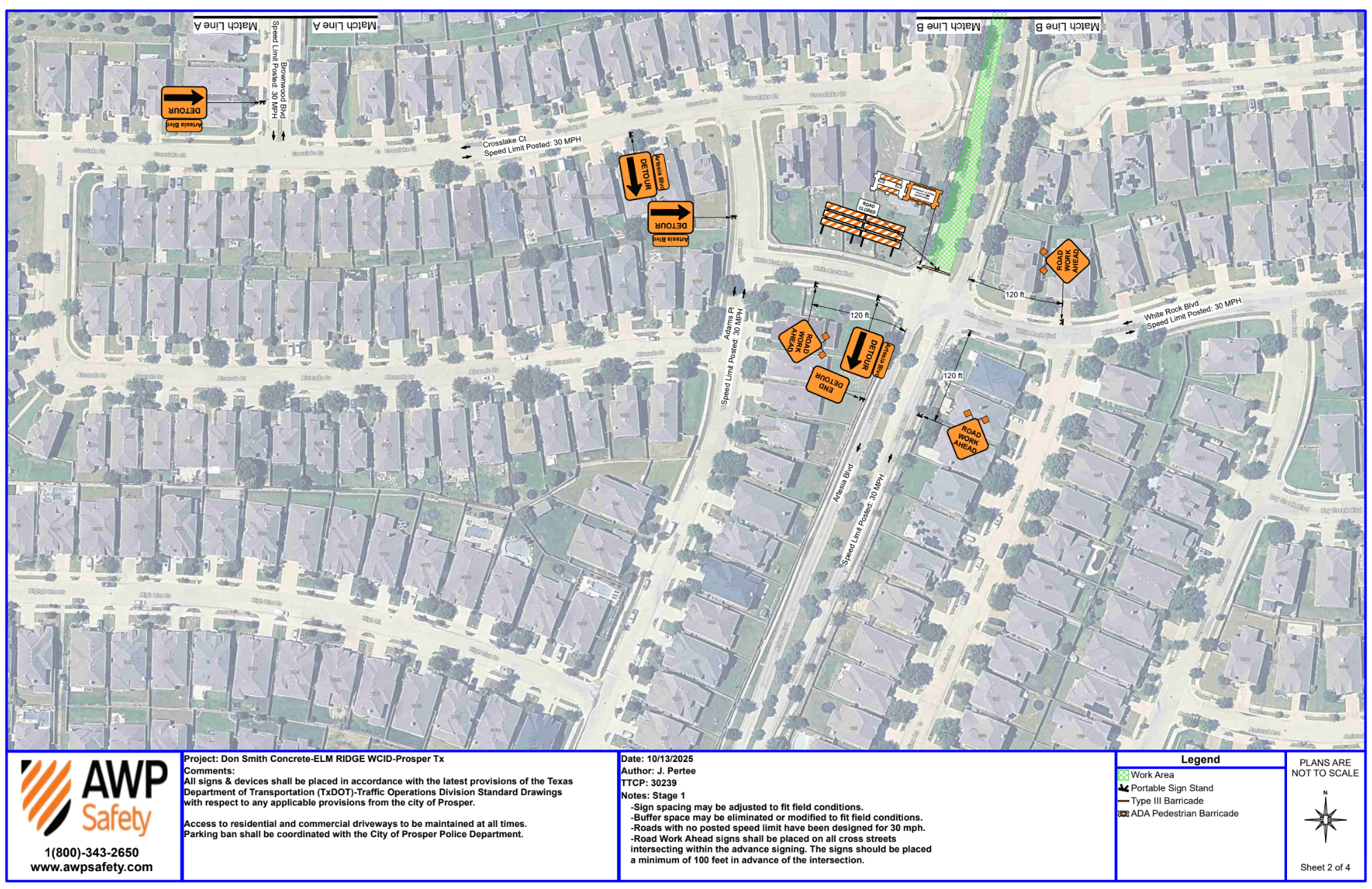
Please see the detour maps below:

DetourMap1

DetourMap2

DetourMap3

DetourMap4

Make sure you are subscribed to Elm Ridge WCID's alerts to receive construction updates. Click Alertshere to sign up.

Share this post: